Skip to main content

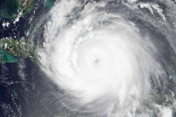
This satellite image from NASA’s Earth Observatory shows Hurricane Irma as it heads toward the coast of Florida on Friday.AFP / Getty Images

What are hurricanes?

Hurricanes are part of a family of storms called tropical cyclones – storms that rotate rapidly around a low-pressure centre and produce heavy rain and strong winds. If one of these storms hits a sustained top wind speed of 119 kilometres an hour and appears in the Atlantic or eastern North Pacific, it qualifies as a hurricane. (Similar storms in the western North Pacific are called typhoons.) The Saffir-Simpson hurricane wind scale goes up from there, through to Category 5, which has no ceiling and represents storms with wind speeds greater than 252 km/h. Anything from Category 3 and up is a "major" hurricane.

How do hurricanes form?

Hurricanes begin as atmospheric disturbances over the tropical waters due west of Africa near the Cape Verde islands. Typically, when sea-surface temperatures are above 26.5 C, water vapour from the ocean condenses and releases heat, which rises and generates an inward movement of air. The air begins to spiral toward the centre of the disturbance, which graduates to a tropical depression and then a tropical storm. As long as winds in the upper atmosphere do not produce a shear force to disrupt the system, it can increase in height and breadth until it reaches hurricane status, gaining strength as it moves westward toward the Caribbean and picking up energy from the warm Atlantic waters.

Hurricane Irma: Everything you need to know as the catastrophic storm barrels through Florida

Opinion: The cost of a hurricane is high, especially if you can't afford to flee

How do they cause damage?

Hurricanes can cause damage in one of three main ways: wind, rain and storm surge. Because they produce eye-popping wind-speed figures, and are most often measured that way, whipping winds are perhaps the most common risk associated with hurricanes. But Hurricane Harvey, which devastated Houston and environs in late August, actually did its damage by hovering over the city and unloading trillions of gallons of rainwater on it. In 2012, Hurricane Sandy had weakened to a post-tropical cyclone by the time it hit New York State and New Jersey. Storm surge did much of the damage in those states, reaching nearly eight feet on the Jersey Shore. The phenomenon, which Princeton University climate scientist Gabriel Vecchi likened to a "wall of water" from the ocean, is produced by a range of factors, including the strength of winds pushing water toward the coast. In Irma's case, of the three forms of hurricane damage, "it's probably not clear which one is going to be worst, simply because they're all going to be really bad," said Bob Robichaud, a meteorologist at the Canadian Hurricane Centre in Dartmouth.

How are their paths forecast – and how accurately?

The paths of hurricanes are easier to predict than their intensity, which tends to be more erratic and variable, said Tom Knutson, a research meteorologist with the U.S. National Oceanic and Atmospheric Administration. Better data feeding into the mathematical models used to track storms have helped. So has improved jet technology, enabling planes to scale and circumnavigate hurricanes, Mr. Robichaud said. Every year, hurricane tracking improves a little bit. Still, it remains uneven: 24 hours out, the models might only show to within a 100-km range where the centre of the storm will be. And the effectiveness of tracking depends on whose models are being used: In 2012, the European Centre for Medium-Range Weather Forecasts in Reading, England, predicted Sandy would turn to New Jersey, while the U.S. National Weather Service did not.

What risk does Canada face from hurricanes?

Once Irma hits the Florida peninsula, it is currently projected to head northward along a line that roughly parallels U.S. Interstate 75 through Georgia and Kentucky. Cut off from warm water, it will quickly weaken. By next week, it could become a mid-latitude storm that brings rainfall to Ontario and Quebec. Of greater concern to Canada are hurricanes that directly strike the Atlantic provinces while coming in off the ocean full force, such as Hurricane Igor, which hammered Newfoundland in 2010. A similar risk is posed by hurricanes that strike the U.S. mid-Atlantic region and cross the relatively short distance over Pennsylvania to hit Southern Ontario. This is what occurred in 1954 when Hurricane Hazel famously devastated Toronto, claiming 81 lives, most because of flooding.

Is climate change making hurricanes stronger or more frequent?

This is a tricky question, because modern hurricane science dates back only a few decades, to the advent of meteorological satellites. A warming climate certainly will bring rising sea-surface temperatures, which may prolong hurricane seasons on a more regular basis. There is also some evidence that a warming climate will eventually make the most intense hurricanes more so, although it is not clear yet if that change can already be observed. Today, global climate models, which are used to study how the atmosphere behaves over hundreds of kilometres, are generally not able to say much that is definitive about hurricanes. "As we move to higher resolution in the future, we'll be able to better represent hurricanes in our models," say Nathan Gillett, manager of the Canadian Centre for Climate Modelling and Analysis in Victoria. What is somewhat more certain is that climate change will mean increased rainfall from hurricanes and also more serious storm surges along coastlines owing to sea-level rise.

Follow related authors and topics

Authors and topics you follow will be added to your personal news feed in Following.

Interact with The Globe